À Vendre

899 000 $

+TPS/TVQ

Ch. du Lac-Tyrol , Lantier, QC J0T1V0

Remarques

***MAGNIFIQUE PROJET *** Vous cherchez un projet de construction, voici l'espace qu'il vous faut. Le projet totalise 19 Lots ( incluant chemin projeté), PLUSIEURS lots sont en bordure du lac Tyrol ou le paysage est majestueux. L'emplacement est idéal pour les projets en pleine Nature. Que ce soit pour un entrepreneur désirant construire plusieurs maisons ou pour un propriétaire voulant un grand territoire, ces lots sont pour vous. N'hésitez pas à me contacter pour des informations et pour aller marcher sur le site exceptionnel.

***MAGNIFIQUE PROJET ***

Vous cherchez un projet de construction, voici l'espace qu'il vous faut.

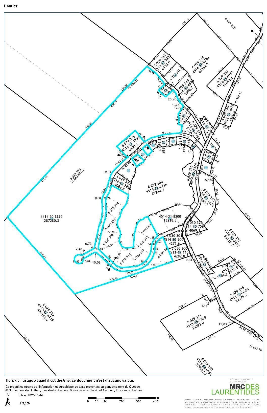
Le projet totalise 19 Lots ( incluant chemin projeté), PLUSIEURS lots sont en bordure du lac Tyrol ou le paysage est majestueux. Soit 291 304,6 Mètre carré de superficie total.

L'emplacement est idéal pour les projets en pleine Nature.


Que ce soit pour un entrepreneur désirant construire plusieurs maisons ou pour un propriétaire voulant un grand territoire, ces lots sont pour vous.

N'hésitez pas à me contacter pour des informations et pour aller marcher sur le site exceptionnel.


**LE VENDEUR ne produira pas de certificat de localisation ni de certificat de piquetage. Le tout devra être
effectué aux frais de l'ACHETEUR.LE VENDEUR n'a jamais fait de tests de sol ou autres sur le terrain, les tests
devront être fait aux frais de l'ACHETEUR.

Tout projet doit être approuvé par la ville de Lantier et respecter la réglementation en vigueur.

Voici les Lots inclus dans la vente:

Terrain tour du Lac Tyrol
6 030 327 cadastre du QC
6 030 326 cadastre du QC
6 030 323 cadastre du QC
6 030 324 cadastre du QC
6 030 299 cadastre du QC
6 030 308 cadastre du QC
6 030 309 cadastre du QC
6 030 310 cadastre du QC
6 030 311 cadastre du QC
6 030 315 cadastre du QC
6 030 316 cadastre du QC
6 029 873 cadastre du QC
6 030 302 cadastre du QC
(Chemin) Rue et avenue pour l'accès local:
6 029 328 cadastre du QC
6 030 303 cadastre du QC
6 030 304 cadastre du QC
6 030 305 cadastre du QC
6 030 306 cadastre du QC
6 030 307 cadastre du QC

Inclusions : 

---

Exclusions : 

---

Résumé de la propriété

  • Évaluation du terrain : 969 000,00 $
  • Évaluation totale : 969 000,00 $
  • Année d'évaluation : 2025
  • Taxes municipales : 0,00 $
  • Taxe scolaire : 0,00 $
  • Taxes annuelles totales : 0,00 $
  • Dimensions du terrain : 287280.3 Mètres carrés
  • Bord de l'eau : Oui
  • Nom du plan d'eau : Lac Tyrol
  • Zonage : RESI

Caractéristiques du bâtiment :

  • Eau (accès):
    Accès , Bordé par l'eau
  • Approvisionnement en eau:
    Aucun
  • Système d'égouts:
    Aucun
  • Terrain:
    Boisé : mixte , Boisé
  • Vue:
    Sur l'eau , Sur la montagne

Inscription du bureau: 

Laure-Lou Hayman - Courtier immobilier résidentiel et commercial

Style de vie
Information du quartier

Obtenir plus de renseignements

Réserver votre visite